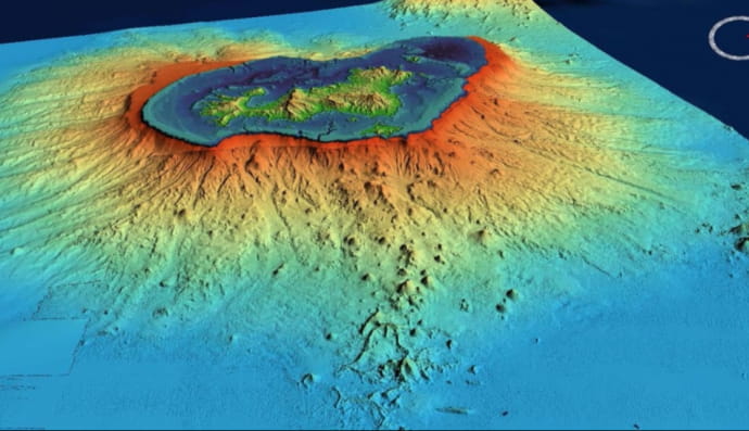
Виверження підводного вулкану біля Королівства Тонга

Потужніше за атомну бомбу: у NASA розповіли цікаву інформацію про виверження підводного вулкана неподалік Тонги

NASA

Уламки вулкана розлетілися на 40 км у висоту

Нещодавно мережу облетіла новина про виверження підводного вулкана Хунга-Тонга-Хунга-Хаапай, що неподалік Королівства Тонга. З часом з'явилися цікаві та зовсім несподівані деталі цього явища. Про них розповідає "Дивогляд" із посиланням на NASA.

Фахівці проаналізували це природне явище, яке відбулося 15 січня, та встановили, що це виверження було значно потужнішим за атомну бомбу, яка під час Другої світової війни була скинута американцями на Хіросіму. Її потужність оцінюється у 15 кілотонн, у той час, як вибух вулкана біля Тонга був сильнішим у сотню разів.

 

Варто також відмітити, що уламки вулкана розлетілися на 40 км у висоту, а сам вибух буквально знищив острів, що знаходиться за 65 км на північ від Нукуалофа.

  • Як виверження вулкана вплинуло на населення Королівства Тонга?

В результаті виверження утворилося цунамі, яке накрило Тонгу. В результаті цього загинули люди, а дехто був вимушений залишити свої затоплені домівки.

Так, раніше "Дивогляд" розповідав про пенсіонера, який через цунамі опинився у відкритому океані і пробув там понад одну добу. Згодом він самотужки дістався острова та повернувся додому.

Також цунамі призвело й до порушення інтернет зв'язку. Однак, рішення цього запропонував американський бізнесмен Ілон Маск. Він оприлюднив у своєму акаунті в Twitter повідомлення з пропозицією під'єднати Королівство Тонга до супутникового інтернету Starlink та став очікувати на відповідь. Однак, бізнесмен не врахував, що через відсутність інтернету тонгійці не зможуть прийняти його пропозицію. 

Якщо ви втомилися від серйозних новин і хочеться трохи розслабитися, підписуйтеся на наш канал у Telegram. Дивогляд 5.UA – тут може бути страшно, але весело!

ПРОКОМЕНТУЙТЕ

МАТЕРІАЛИ ЗА ТЕМОЮ

Читайте більше