Кошка с тату и ее детки, которым нужна верная семья

"Вы такого еще не видели!": в Херсоне заметили кошку с нацистским тату – фото

Елена Таран / Facebook

Зоозащитница просит помощи от неравнодушных людей, потому что кошке и ее котятам нужна верная семья

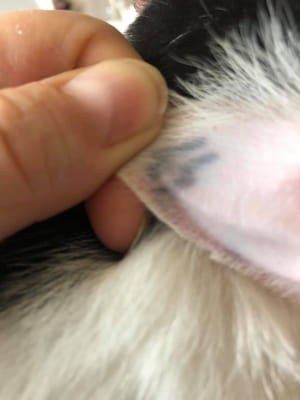
В Херсоне нашли кошку с котятами, на ухе которой кто-то сделал тату с нацистским символом – свастикой. Об этом сообщает "Дивогляд" со ссылкой на Facebook Елены Таран, которая занимается защитой животных.

"Вы такого еще не видели! Шок. Знаете, вращаясь в теме зоозащиты, мои глаза много чего видели, и нервы еле, но выдерживали. Но этот факт уже просто ни в какие ворота!!!", – начала свой рассказ Таран.

По словам зоозащитницы, кошку кто-то весной подбросил в подъезд. Животное была вынуждено искать себе убежище и наткнулось на "уродов", которые взяли 1,5-килограммового котенка и сделали ему татуировку со свастикой – нацистским символом.

"Не на заборе, не у себя на лбу, а на ушках у маленького существа! Это разве смешно?" – возмутилась Таран.

Женщина утверждает, что теперь кошечка родила пятерых котят, но всю их семью тоже выгнали из подъезда. Теперь мать стерилизовали и вернули к детям.

"Хорошо, что наши маленькие друзья, не понимают всю скотскость этих поступков, они терпят боль и продолжают жить, кормить своих деток, спасаться и терпеть… Ведь у них нет выбора. Его за них сделали когда-то их верные хозяева", – пишет зоозащитница.

Напоследок Елена отметила, что эти животные очень нуждаются в доме и семье. Если вы хотите взять себе котика или помочь каким-нибудь другим образом – можно написать зоозащитнице в Facebook.

Кстати, недавно "Дивогляд" сообщал, что в Запорожье пес защищал от прохожих своего хозяина, который потерял сознание на улице.

Если вы устали от серьезных новостей и хочется немного расслабиться, подписывайтесь на наш канал в Telegram. Дивогляд 5.UA – здесь может быть страшно, но весело!

Прокомментируйте

МАТЕРІАЛИ ЗА ТЕМОЮ